
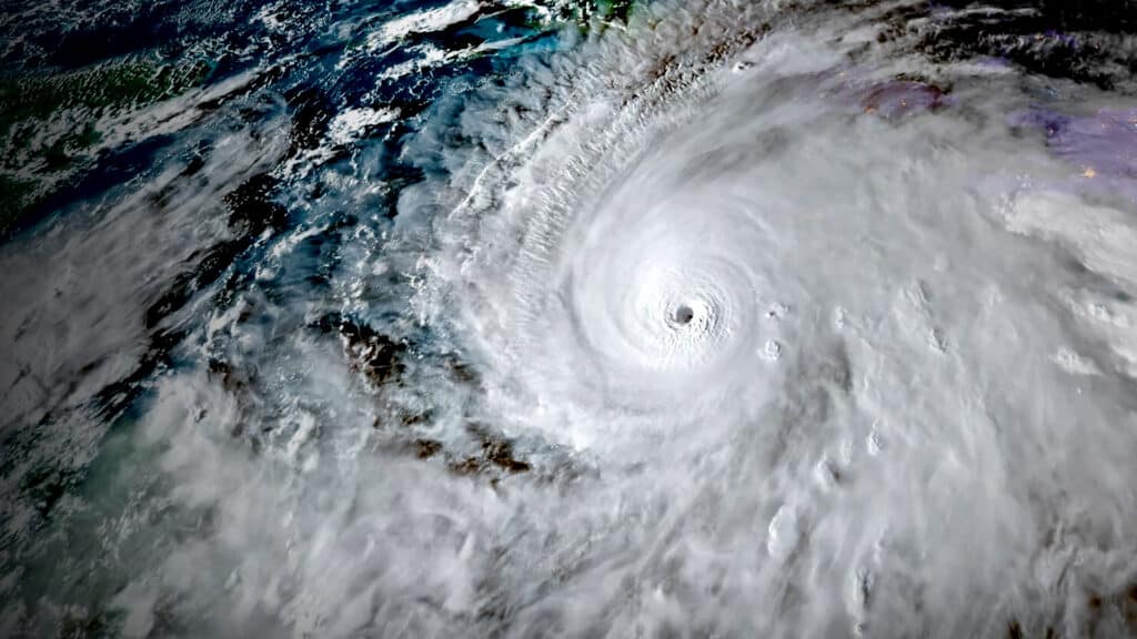
As Hurricane Melissa devastated Jamaica this week, former UN climate chief Christiana Figueres said the storm was a stark reminder of how global warming is making extreme weather both stronger and more unjust.
In an interview with Channel 4 News, Figueres said the storm, Jamaica’s most powerful in recorded history, reached Category 5 intensity because sea temperatures were three degrees Celsius above normal.
«Climate change doesn’t produce hurricanes, but it makes them more and more powerful,» she said.
Figueres, who helped broker the 2015 Paris Agreement, called the disaster «a devastating injustice,» noting that developing countries contribute the least to global emissions but bear the greatest losses.
«They have to find 80% of the cost of rebuilding, recovering, and increasing resilience from their own pocket,» she said. «That is the unfairness of climate change.»
She warned that the world remains on course for 2.5°C of warming, well above the Paris target of staying below 2°C, and urged greater action from governments, cities, and businesses ahead of COP30 next week.
«We need to be gentle optimists,» she added. «The fate of these nations is not one we can play with.»
Despite growing political resistance in some countries, Figueres said she remains hopeful.